新築一戸建て 真岡市荒町3丁目1号棟
所在地
真岡市荒町3丁目1号棟
2,590万円
27.07坪
3LDK
☆新築分譲住宅/全1棟☆明るいリビングの3LDK+ルーフバルコニー付☆
☆真岡東小学校&真岡東中学校区域☆防犯カメラなどの防犯設備も充実☆
※内覧希望のお客様は事前予約をお願いいたします※
🌸セブン-イレブン 真岡市役所前店まで 220m(車で1分)
🌸ファミリーマート 真岡荒町三丁目店まで 250m(車で1分)
🌸TAIRAYA真岡荒町店まで 350m(車で1分)
🌸カワチ薬品 真岡東店まで 500m(車で2分)
🌸ウエルシア真岡荒町店まで 600m(車で2分)
月々の
支払例
支払例
万円
年
%
円
※JAはが野 サポート3 特別金利A/借入金2,590万円、返済期間35年、金利0.660%(変動)の場合
※審査により金利は変わる可能性があります。
物件概要
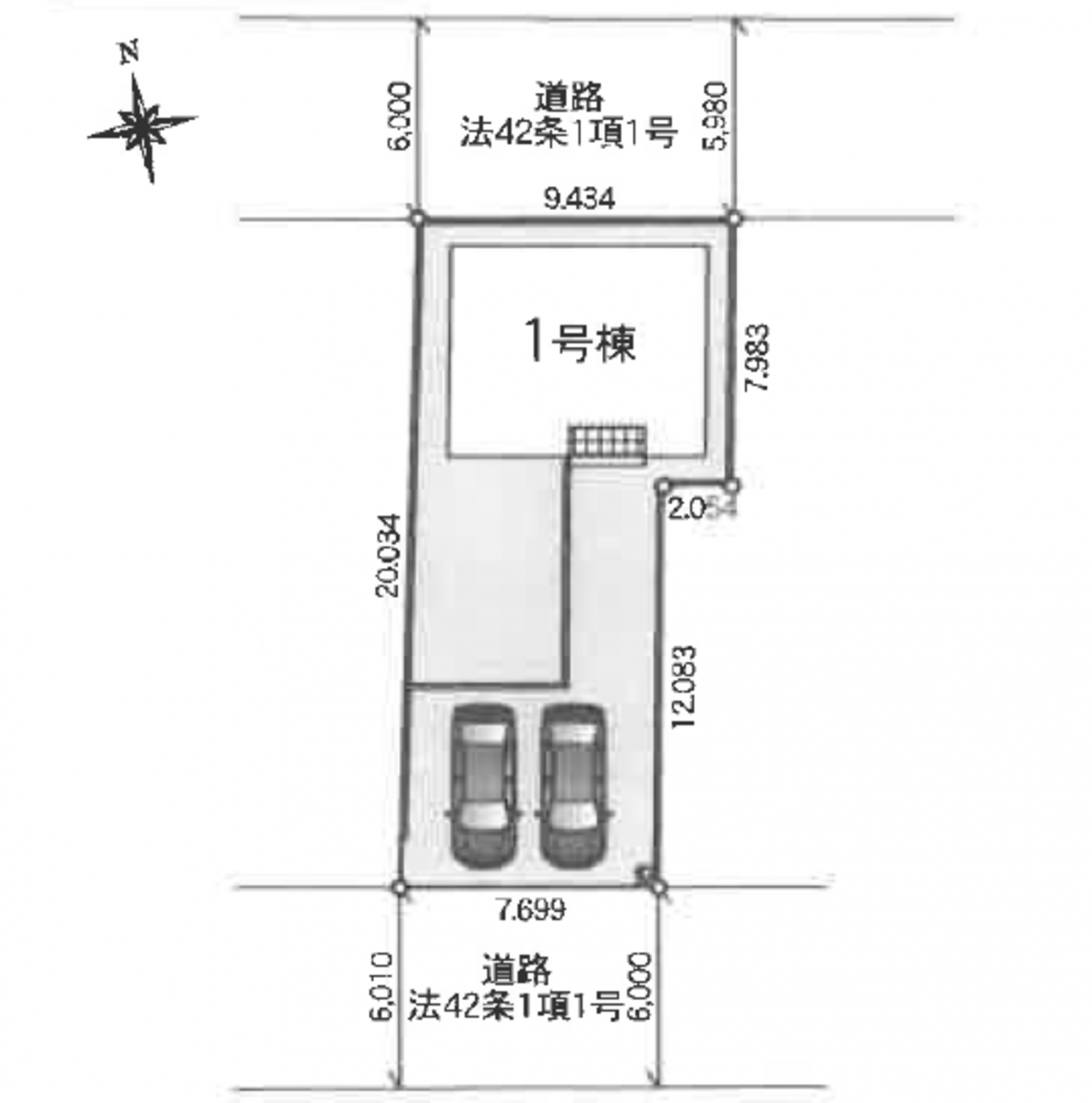
- 交通
-
真岡鉄道 真岡駅 まで 徒歩22分
- 接道状況
-
北側 公道5.9m 間口約9.4m 遊歩道
南側 公道6.0m 間口約7.6m - 土地面積
- 実測 167.36㎡ (50.62坪)
- 建物面積
- 89.50㎡ (27.07坪)
- 築年数
- 2026年 (令和8) 6月
- 建ぺい率
- 60%
- 容積率
- 200%
- 土地権利
- 所有権
- 構造および階数
- 木造 地上2階建
- 小学校区
- 真岡東 (700m)
- 中学校区
- 真岡東 (1000m)
- 私道負担
- なし
- 地目
- 宅地
- 現況
- 空
- 引渡時期
- 相談
- 駐車場
- 有 普通2台
- 上水道
- 公共
- 下水道
- 公共
- ガス
- プロパン個別
- 都市計画
- 市街化区域
- 用途地域
- 1種住居
- 設備・条件
- システムキッチン、カウンターキッチン、シャンプードレッサー、浴室乾燥機、モニタ付インターホン、洗浄便座、複層ガラス、追い焚き、駐車場2台分、トイレ2箇所、防犯カメラ、人感センサーライト、ディンプルキー
- 備考
- 取引態様
- 仲介



